Publié le par Pascal MANDEREAU
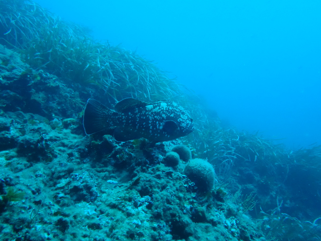
Sortie technique la CIOTAT Juin 2022 un grand moment les photos sous marine on été prise par la plus jeune membre de la Com Berry Plongée : LEA ,
                sportsregions
            Publié le par Pascal MANDEREAU
Sortie technique la CIOTAT Juin 2022 un grand moment les photos sous marine on été prise par la plus jeune membre de la Com Berry Plongée : LEA ,